Aussie Group Flights Team - Classic Aircraft: Colorado City to San Angelo

Group flights, Aussie style. Aussie Group Flights Team is the ultimate way to explore the world with your favourite people.

Join us as we fly the recently released T34B Mentor or Bonanza to navigate using the VFR Sectional charting tools in Navigraph and Little NavMap for USA.

If you are not a member, to join for FREE, click here: Aussie Group Flights Team - On-line Flying

Details to follow. Hope you can join us.

PLEASE NOTE: THIS INFORMATION IS FOR FLIGHT SIMULATION USE ONLY.

Regards, Paul

Event: Classic Airplane
Sim: MSFS2024
Aircraft: T34B Mentor or Bonanza
Speed: 160 knots
Server: South East Asia
Sim Time: 8:00am
Route: See attached flight plan
Alt: 4,500' 
When:  Tuesday 20th January
Start: 19:00z
Duration: 1hr 
Distance: 122nm 


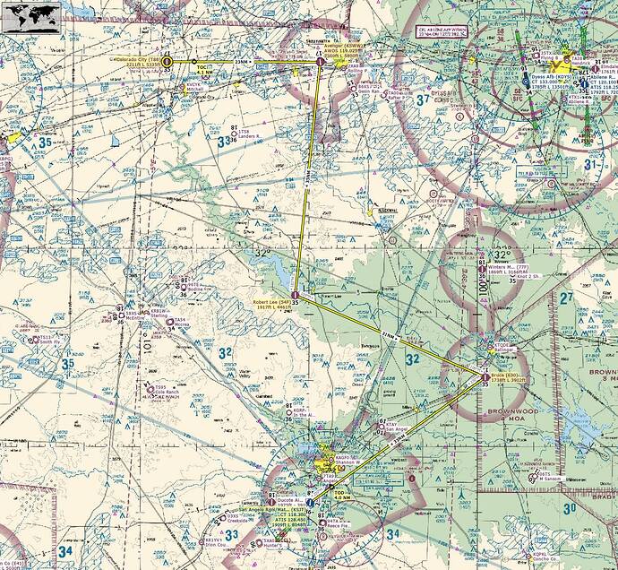
Take off from Colorado City
Track 085 deg to Avenger(KSWW) 6nm
Touch and Go at Avenger(KSWW)
Track 181 deg to Robert Lee(54F) 35nm
Full Stop Landing at Robert Lee(54F) +++ 10 min break +++
Take Off from Robert Lee(54F)
Track 109 deg to Bruce(E30) 31nm
Touch and Go at Bruce(E30)
Track 230 deg to San Angelo Rgnl(KSJT) 33nm
Full Stop Landing at San Angelo Rgnl(KSJT)

Airport Details:
 
Colorado City(T88)
Elev: 2,211’
RW 17/35 Asphalt 5,335'

Avenger(KSWW)
Elev: 2,360'
RW 17/35 Bituminous 5,800'
RW 04/22 Bituminous 5,623'
 
Robert Lee(54F)
Elev: 1,917’
RW 17/35 Concrete 4,461'

Bruce(E30)
Elev: 1,738’
RW 17/35 Bituminous 3,902'

San Angelo Rgnl(KSJT)
Elev: 1,909'
RW 03/21 Asphalt 5,939'
RW 18/36 Concrete 8,048'
RW 09/27 Asphalt 4,408'

Flight plans to support the event …

Little NavMap:
VFR Colorado City (T88) to San Angelo Rgnl Mathis Field (KSJT).lnmpln (1.8 KB)

MSFS2020:
VFR Colorado City (T88) to San Angelo Rgnl Mathis Field (KSJT).pln (2.3 KB)

MSFS2024:
VFR Colorado City (T88) to San Angelo Rgnl Mathis Field (KSJT).pln (1.4 KB)

Event reminder …