Flight chart layer on World Map

So my main interest at the moment is finding interesting places to fly around and sight see.

The world map satellite layer is so low-res it’s practically useless.

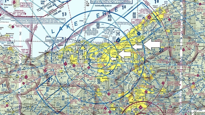
What I was expecting was a flight chart layer. Something like this:

Thought that would be standard, but maybe I’m expecting too much and it would add $$$ to the cost of the product. Hopefully there may be mods for this in future.

4 Likes

I wish we had something like SkyVector for our flight planning utility. Or maybe just a way to load it into the map window.

1 Like

I made a Flight Planner/VFR tool that lets you view a tracking map and the SkyVector chart too. It is available, but still a work in progress.

Thanks I’ll check it out.

Well, there’s LittleNavMap that works. But I just use SkyVector on another screen and a paper notebook that I put my radio and nav info on.

2 Likes

Yes I also would like a more complete map to view during the flight, as a minimimum the names of cities…
Ciao

Agreed, and I would like city and airport names to be overlayed in the Manual Cache map as well.

I would love to see basically skyvector in Flightsim. That way it also would easier to do flight planning

While there are some good workarounds (SkyVector, LittleNavMap), I do believe that a SIM so expert at delivering VFR scenery should way better assist its users in VFR flight planning.

Some issues I have:

  • SkyVector only has proper VFR charts for the US but nothing but airport locations and terrain for the rest of the world. That is the main reason I almost exclusively fly within the US. The in-game flight planner might use Bing maps for picking the landmarks and routings, that would suffice and be way cheaper than acquiring world-wide VFR charts for in-game use.
    The options “Direct GPS” and “VOR to VOR” just don’t suffice.

-NAV log fault: When flying a self-made plan, the NAV log has a column “Heading” which is incorrect. It is in fact a column “course” that does not take into account the prevailing winds. I would expect the SIM to create upon starting a flight a NAV log using the current winds the SIM uses and calculate the required headings from the individual leg courses and to display both. For that, either the winds at a fixed intermediate altitude might be used (5000ft for example) or at any altitude specified in the flight planning stage. So far I have found only two workarounds for that: either using a preset weather with no wind whatsoever (boooring) or using a glass-cockpit (GPS) aircraft that displays the track I fly (feels like cheating).
Since I do have my doubts about how close the winds aloft from the weather model match the different official forecasts, that is something I’d prefer the sim do for me.
I would however not expect the SIM to do recalculations enroute when winds change.

What are your thoughts about this topic?
Greetings!

1 Like