Taxiway question

Here is a chart of an airport:

https://skyvector.com/files/tpp/2013/pdf/00552AD.PDF

2 main taxiways, A and B. I see and understand the naming of all the intersecting taxiways but at the bottom of the chart there are 2 areas that correspond to the main taxiways called AA and BB. What do those 2 names signify?

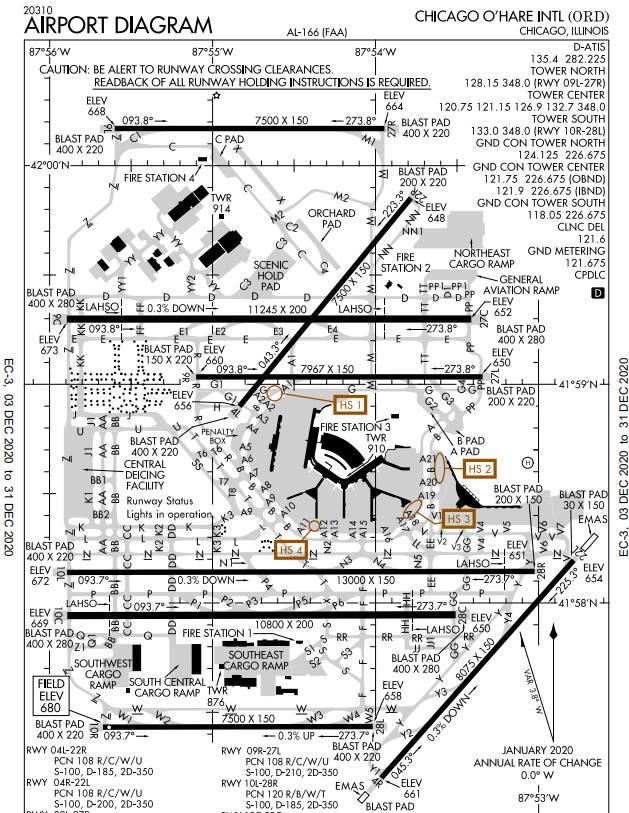
Those two names indicate taxiway AA, BB. Although it may be a bit rare in US airports, take a look at the taxiway names at O’Hare international.


Notice how you’ll find CC, DD, and others like that

Simply put, whoever designed the airport decided AA and BB would be the names of those tiny taxiways in those sections, and probably for consistency reasons or some airport design fun fact named them like that. Regardless, they hold no special meaning and are just any other taxiway names :grinning_face_with_smiling_eyes:

1 Like

“Taxiway designations start out with a single alphabet letter, although at larger airports, you may start seeing double-same alphabet letters or alphanumeric identifiers because of the sheer number of taxiways. Because of this, “AA, BB, CC, DD, EE or A2, A3, A4, etc.” also refer to taxiways.”

2 Likes

Thanks so much!

1 Like

This topic was automatically closed 30 days after the last reply. New replies are no longer allowed.