This is the 3rd part of my MSFS flight planning series. If you have not read the previous parts, click here where you will read the first installment.
Today we will be planning our flight legs, calculating speeds, times, fuel, weight and balance and other interesting data. As a bonus you will be able to use a custom designed C172 flight planning form.
After getting our weather briefing and calculating the headings on a map, the next step is to fill the actual planning form.
For that, I have created this handy spreadsheet that will help you with most of the calculations.
its an excel table you can find it here
Open the form. the peach colored fields are the ones you will be filling out.
The first step is to set the Departure airport (KJAX), the Arrival Airport (KDYB) and the cruising altitude. In the USA, airplanes flying VFR above 3000’ should follow a specific altitude, depending on the direction of flight, In this case we will flying Easterly, so we will be at an odd altitude (3500, 5500, 7500) for those flights going westerly, the opposite applies. My selected altitude based on the wind aloft and cloud cover forecasting will be 5500’. So go ahead and type that.
Airfield altitudes are optional.
Go to box number 2 and type in the expected time you will be taking off, local time on 24hr format (14:30)
For box number 3 you will need to select your cruise power, engine RPM and True airspeed. You can click on the link for the C172 POH, provided on the form. Here for clarity I have taken a screen shot of the page that you need to look at:
I have selected the numbers corresponding to 6000’ at 65% Cruise power with 2500RPM which will consume 9 gallons of fuel per hour and will fly me at 114 KTAS. Go ahead and type that. You can select a higher or lower power, depending on your preferences and needs.
Next go to payload (this data will also need to be fed into MSFS on weight and balance section. I bring my family on my flights so here is my weight distribution:
Pilot: 175 and Wife: 110 on the front row. total:285 lbs
Kid 1: 65 and Kid 2: 90 on the back row. Total: 155 lbs
Baggage: 100lbs.
fill those numbers on the form. They will help me find out if I am going over the weight limit, or outside the balance envelope of the plane. Fuel calculation will be done later. The form is now calculating moment, based on the arm and the weights of the loads on the plane. This numbers are based on the POH and are closely simulated on MSFS.
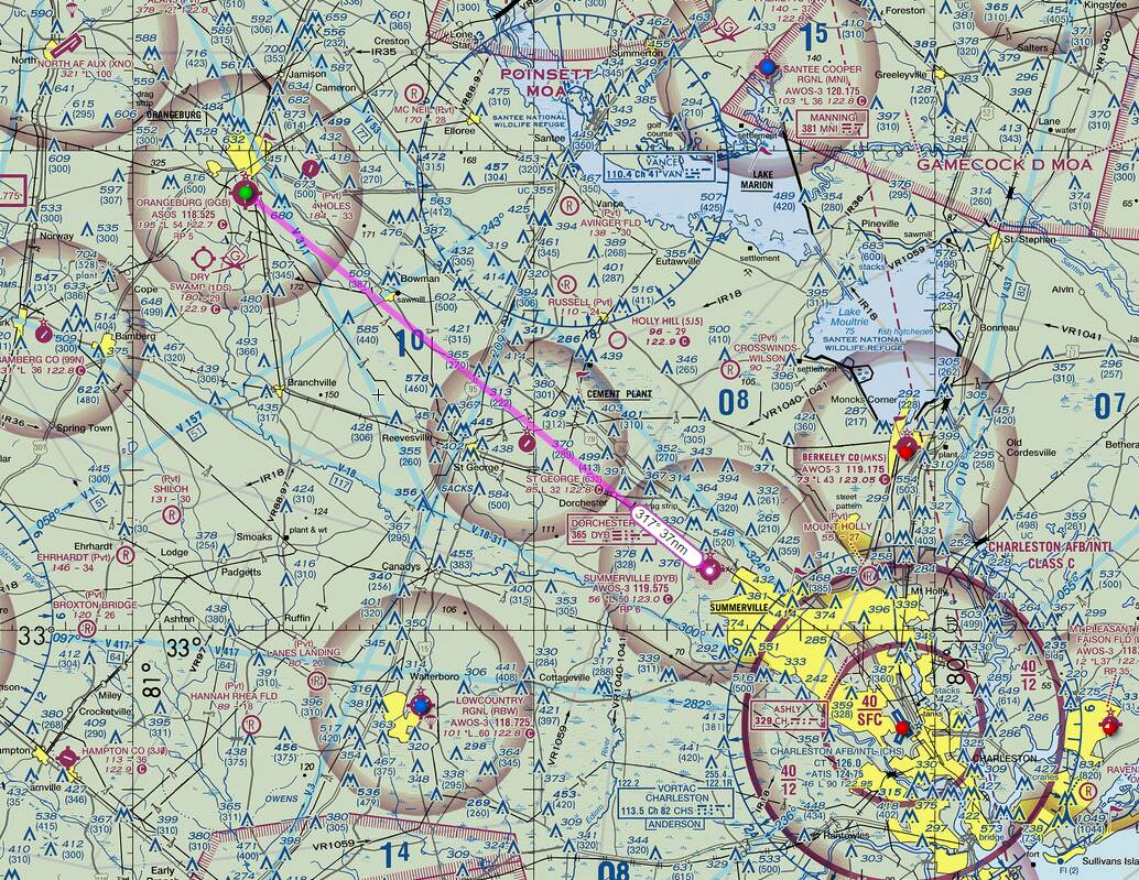
The next part is to put the waypoints and the distance in between them. then We will have to count for the wind so we can calculate how much the wind will push us of course, and we will complete the calculation with the offset of earths magnetic variation and the aircraft’s compass deviation. Sounds tough, but is really easy. Here is a picture of the route for reference:
lets do the waypoints first.
Departing from KJAX, my first waypoint is SSI, a VOR and the distance is 36 nm. The VOR frequency is 109.8 and the radial to track is 27deg. all there to see on the map. Put that data on the plan.
Next waypoint is SAV, another VOR, at 67 nm, frequency 115.95 tracking the 015 radial
Our next waypoint is 3J0, an airport. It has one rwy and the distance is 44NM
Before we get to the final point, KDYB we will need to descend. I always like to place a waypoint that shows me where my descent starts. Its optional, highly recommended. In this case is on the same heading of 0.81, we don’t know the distance yet, it will be calculated later. for now, just place TOD (top of descent) and then finally the destination KDYB
Now we need to calculate the headings. We are planning to navigate old school, using the GPS only as a back up and flying mostly based on the VFR, dead reckoning and pilotage. SO this information is important.
To know the headings, on the Skyvector page, click on navlog see below:
Focus on the blue highlighted numbers on the table. They depict the ground track, ad the magnetic variation. Both things can be calculated with a ruler on a paper map, but Skyvector is giving us those numbers automatically. We are going to fill them out under the TC and Var boxes for each waypoint. Remember that the track from 3J0 and KDYB will have the TOD in the same direction, that’s why you see the same numbers there. Go ahead and fill those boxes.
Now we need to calculate the Wind Correction Angle: basically how much is the wind pushing our aircraft at the cruising altitude. for that you need two different tools, a WCA calculator and the winds aloft value. (I don’t take the WCA from the Skyvector navlog because Meteoblue’s and MSFS numbers are going to differ somewhat. Open the calculator on the link in the form and the winds aloft data from Meteoblue, or use skyvector’s if you want.
Here is a picture of the WCA calculator.
For every waypoint, input the true course (TC on the form), your KTAS (given on the power section of the form) Wind direction (estimate based on the Meteoblue map which give us estimated winds aloft of 35kts with a heading of 245). The calculation will look something like this:
Type the WCA and the Ground Speed for every waypoint. Because the wind will be constant through the route, the only thing you need to change is the true course for each waypoint. As you type this information, Fuel and weights are being added to your calculation - Almost done!!
To finish these heading calculations we have to take into account the own deviation of the compass, which, I think is modeled into MSFS. Here is a picture of the numbers (which are placed on he form for easy retrieval)
Input the variation that is close to the heading you will be flying on each waypoint. that completes the heading calculation.
But we have not calculated the descent profile. in box 7 select the airport’s pattern altitude in MSL altitude. KDYB is 1000’ and input the speed at which you want to descend. Anywhere from 500 to 700 FMP.
That give us a broad idea of the TOD, which is, at an Ground speed of 140 about 26 miles, and will put us in pattern altitude a couple of miles from the airport, as long as I sustain a vertical speed of -500 FPM. Go back to the way point list and add the difference between 3J0 and KDYB (42 nm) minus the 26 miles which is the TOD, 16nm. That means that 16 nm after I pass 3J0, I should start my descent. which will be about 26miles to KYDB.
We just need to do two more things and we are done.
Time and fuel consumption for the climb and the alternate and reserve fuel. for those, go to page 5-18 on the manual, and look at the table:
To climb to 5500’ we will use approx. 9 min, 2 gallons of fuel and it will take us about 12 miles to get there. Put those numbers on the box.
There are several airports in the vicinity of KDYB that can be used as alternates. I will pick KOGB because I know that If I pick that one, I would be also able to fly to many other places that are close. Distance is 37 nm, put that on the box
Finally for my fuel and weight calculations, I need to put some reserve fuel in the tanks. For general aviation, ICAO Annex 6 Part II, section 2.2.3.6 “Fuel and oil supply” requires:
For IFR, enough fuel to reach destination, then alternate (if required), plus 45 minutes
For day VFR, enough fuel to reach destination plus 30 minutes
For night VFR, enough fuel to reach destination plus 45 minutes. So I will put 45 min to get my final fuel requirement.
That completes my fuel weight and balance calculations. I will be carrying a total of 23.9 gal of fuel (you will input this figure on MSFS), that will take me to my destination, will carry me to the alternates and I will have 45 min of reserve. Will which put me at 2325 lbs. total take off weight, and 2254 Lbs. landing weight to my destination. Lets see how the Weight and balance is and whether I am within envelope. Go to 6-15 on the manual.
As you can see on the graph, if I plot the weight and moment of the airplane loads, I am well within the normal category on take off (red) and Landing (blue).
and that finalizes the preflight checks. On the next installment, lets make a script of the flight.
More posts on these series:
- Weather forecasting Here
- Planning the VFR route Here
- Preflight Checks Here
- How everything comes together Here
All these are critical components of Dead Reckoning, and pilotage, so we can ditch the GPS and fly this just by looking outside and comparing the references on the map to the planned route. Its really cool and makes for a fun flight on a VFR simulation platform, just like MSFS.









